• TOP
  • アクセス
  • 注意事項
  • ボート料金
  • ご予約・予約状況
  • TOP
  • アクセス
  • 注意事項
  • ボート料金
  • ご予約・予約状況
11/16

11/16

by fishingozaki on 2025-11-16 with コメントはまだありません

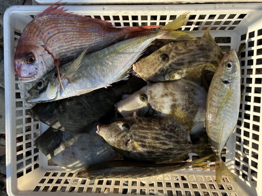
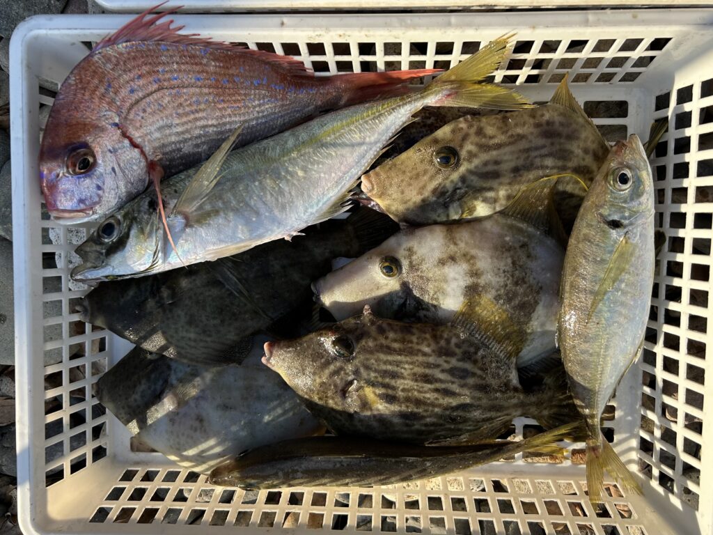
【結果】マダイ・カワハギ・アジ 他【釣り人】三重県多気郡 西岡様・尾上様

レンタルボート
Previous Post
Next Post

Similar Posts

5/3
5/3
by fishingozaki on 2022-05-03 with コメントはまだありません

【結果】 ヒラメ・タチウオ・アカハタ ほか (釣り人) 三重県松阪市 古田様・清水様・西井様・中西様 Read More

8/11
8/11
by fishingozaki on 2022-08-11 with コメントはまだありません

【結果】 レンコダイ・シロアマダイ・サバ ほか 【釣り人】 三重県津市 米川様・倉田様・米川様・松島様 Read More

5/15
5/15
by on 2018-05-15 with コメントはまだありません

【結果】マダイ 2枚ほか 【釣り人】愛知県安城市 後藤様・池田様 Read More

11/26
11/26
by fishingozaki on 2023-11-26 with コメントはまだありません

【結果】サゴシ・アオハタ・マダイ・レンコダイ・オニカサゴ・イトヨリダイ ほか 【釣り人】岐阜県揖斐郡 江崎様・長屋様・長屋様 Read More

4/8
4/8
by fishingozaki on 2020-04-12 with コメントはまだありません

【結果】 アカハタ・オオモンハタ 【釣り人】 三重県津市 山田様 Read More

5/4
5/4
by fishingozaki on 2021-05-06 with コメントはまだありません

【結果】 ヒラメ・シロアマダイ・オオモンハタ・イトヨリダイ 【釣り人】 大阪府堺市 中辻様ご夫妻 Read More

過去の釣果
  • 2026年5月
  • 2026年4月
  • 2026年3月
  • 2026年2月
  • 2026年1月
  • 2025年12月
  • 2025年11月
  • 2025年10月
  • 2025年9月
  • 2025年8月
  • 2025年7月
  • 2025年6月
  • 2025年5月
  • 2025年4月
  • 2025年3月
  • 2025年2月
  • 2025年1月
  • 2024年12月
  • 2024年11月
  • 2024年10月
  • 2024年9月
  • 2024年8月
  • 2024年7月
  • 2024年6月
  • 2024年5月
  • 2024年4月
  • 2024年3月
  • 2024年2月
  • 2024年1月
  • 2023年12月
  • 2023年11月
  • 2023年10月
  • 2023年9月
  • 2023年8月
  • 2023年7月
  • 2023年6月
  • 2023年5月
  • 2023年4月
  • 2023年3月
  • 2023年2月
  • 2023年1月
  • 2022年12月
  • 2022年11月
  • 2022年10月
  • 2022年9月
  • 2022年8月
  • 2022年7月
  • 2022年6月
  • 2022年5月
  • 2022年4月
  • 2022年3月
  • 2022年2月
  • 2022年1月
  • 2021年12月
  • 2021年11月
  • 2021年10月
  • 2021年9月
  • 2021年8月
  • 2021年7月
  • 2021年6月
  • 2021年5月
  • 2021年4月
  • 2021年3月
  • 2021年2月
  • 2021年1月
  • 2020年12月
  • 2020年11月
  • 2020年10月
  • 2020年9月
  • 2020年8月
  • 2020年7月
  • 2020年6月
  • 2020年5月
  • 2020年4月
  • 2020年3月
  • 2020年2月
  • 2020年1月
  • 2019年12月
  • 2019年11月
  • 2019年10月
  • 2019年9月
  • 2019年8月
  • 2019年7月
  • 2019年6月
  • 2019年5月
  • 2019年4月
  • 2019年3月
  • 2019年2月
  • 2019年1月
  • 2018年12月
  • 2018年11月
  • 2018年10月
  • 2018年9月
  • 2018年8月
  • 2018年7月
  • 2018年6月
  • 2018年5月
  • 2018年4月
  • 2018年3月
  • 2018年2月
  • 2018年1月
メニュー
  • 釣りものカレンダー
  • 乗船名簿ダウンロード
  • 釣行時間
  • 忘れ物
  • キャンセル料について
  • 魚種から釣果を検索
  • アクセス
  • ご予約・予約状況
  • 注意事項
  • ボート料金
サイト内検索
人気の投稿
  • 5/16 2026-05-16
  • 5/16 2026-05-16
  • 5/16 2026-05-16
  • 5/13 2026-05-13
  • 5/13 2026-05-13
最近の投稿
  • 5/16
  • 5/16
  • 5/16
  • 5/13
  • 5/13
最近のコメント
    アーカイブ
    • 2026年5月
    • 2026年4月
    • 2026年3月
    • 2026年2月
    • 2026年1月
    • 2025年12月
    • 2025年11月
    • 2025年10月
    • 2025年9月
    • 2025年8月
    • 2025年7月
    • 2025年6月
    • 2025年5月
    • 2025年4月
    • 2025年3月
    • 2025年2月
    • 2025年1月
    • 2024年12月
    • 2024年11月
    • 2024年10月
    • 2024年9月
    • 2024年8月
    • 2024年7月
    • 2024年6月
    • 2024年5月
    • 2024年4月
    • 2024年3月
    • 2024年2月
    • 2024年1月
    • 2023年12月
    • 2023年11月
    • 2023年10月
    • 2023年9月
    • 2023年8月
    • 2023年7月
    • 2023年6月
    • 2023年5月
    • 2023年4月
    • 2023年3月
    • 2023年2月
    • 2023年1月
    • 2022年12月
    • 2022年11月
    • 2022年10月
    • 2022年9月
    • 2022年8月
    • 2022年7月
    • 2022年6月
    • 2022年5月
    • 2022年4月
    • 2022年3月
    • 2022年2月
    • 2022年1月
    • 2021年12月
    • 2021年11月
    • 2021年10月
    • 2021年9月
    • 2021年8月
    • 2021年7月
    • 2021年6月
    • 2021年5月
    • 2021年4月
    • 2021年3月
    • 2021年2月
    • 2021年1月
    • 2020年12月
    • 2020年11月
    • 2020年10月
    • 2020年9月
    • 2020年8月
    • 2020年7月
    • 2020年6月
    • 2020年5月
    • 2020年4月
    • 2020年3月
    • 2020年2月
    • 2020年1月
    • 2019年12月
    • 2019年11月
    • 2019年10月
    • 2019年9月
    • 2019年8月
    • 2019年7月
    • 2019年6月
    • 2019年5月
    • 2019年4月
    • 2019年3月
    • 2019年2月
    • 2019年1月
    • 2018年12月
    • 2018年11月
    • 2018年10月
    • 2018年9月
    • 2018年8月
    • 2018年7月
    • 2018年6月
    • 2018年5月
    • 2018年4月
    • 2018年3月
    • 2018年2月
    • 2018年1月
    メタ情報
    • ログイン
    • 投稿フィード
    • コメントフィード
    • WordPress.org

    フィッシングオザキ


    大きい地図・ルート検索  ( powered by ゼンリン地図 いつもNAVI )

    住所:〒519-3413

    三重県北牟婁郡紀北町引本浦616-14

    TEL:090-2774-0969

    【ご予約はお電話にて承ります。】

    カレンダー

    2025年11月
    月 火 水 木 金 土 日
     12
    3456789
    10111213141516
    17181920212223
    24252627282930
    « 10月   12月 »

    釣果情報&NEWSカテゴリ

    • キャンセル料について
    • レンタルボート
    • 忘れ物
    • 釣行時間

    フィッシングマスターで放送されました!

    https://youtu.be/jXxFd-s3gpw

    ページ一覧

    • アクセス
    • コロナウイルス感染拡大防止についてご協力をお願いしています
    • ご予約・予約状況
    • プライバシーポリシー
    • ボート料金
    • 注意事項
    • 釣りものカレンダー
    • 魚種から釣果を検索

    釣果情報|アーカイブ

    人気の投稿

    • 5/16 2026-05-16
    • 5/16 2026-05-16
    • 5/16 2026-05-16
    • 5/13 2026-05-13
    • 5/13 2026-05-13

    サイト内検索

    menu

    • 釣りものカレンダー
    • 乗船名簿ダウンロード
    • 釣行時間
    • 忘れ物
    • キャンセル料について
    • 魚種から釣果を検索
    • アクセス
    • ご予約・予約状況
    • 注意事項
    • ボート料金
    • アクセス
    • ボート料金
    • ご予約・予約状況
    • 注意事項
    • 釣りものカレンダー
    • 魚種から釣果を検索
    • プライバシーポリシー

    © 2026 フィッシングオザキ|紀北町・引本浦のレンタルボート